Space News & Blog Articles
Tune into the SpaceZE News Network to stay updated on industry news from around the world.
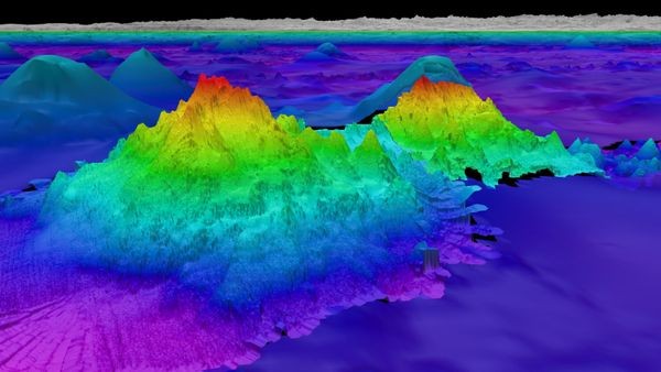
Gravitational anomalies reveal seamount 3 times the height of world's tallest building
Researchers found and mapped four seamounts in the deep sea off the coast of Peru and Chile. The tallest of these new peaks rises around 1.5 miles above the seafloor.
Stay Informed
When you subscribe to the SpaceZE News Feed, we will send you an e-mail when there are new updates on the site so you wouldn't miss them.

